Collectif  : Jeanne d’Arc, une époque, un rayonnement (1982)

I. : Aspects du mécénat de Louis Ier d’Orléans (Claude Ribéra-Pervillé)

138139Aspects du mécénat de Louis Ier d’Orléans (✝ 1407)
Claude Ribéra-Pervillé

Possessions de Louis Ier d’Orléans ; travaux entrepris en 1404-1405 (Claude Ribéra-Pervillé, Aspects du mécénat de Louis Ier d’Orléans, dans Jeanne d’Arc, une époque, un rayonnement, colloque d’histoire médiévale, Orléans, octobre 1979)
Fig. 1. Possessions de Louis Ier d’Orléans ; travaux entrepris en 1404-1405

Fig. 1 : Possessions de Louis Ier d’Orléans (✝ 1407)

Travaux entrepris en 1404-1405 (d’après Arch. nat. KK 267, fol. 46 à 50)

P : Pierrefonds

FM : La Ferté-Milon

☐ Possessions de Louis d’Orléans. Pour la clarté de la carte, ne sont pas indiquées les petites places :

  • du nord de la France (Ham, Condrein, Faillouel, La Fêre-sur-Oise, Pinon, Montcornet, Origny-en-Thierache) ;
  • Gandelu ;
  • les places de Champagne et de Brie (Châtillon, Épernay, Châlons-Sur-Marne, Treffols, Sezanne, Chantemerle).

Soissons (500 l. t.). Les chiffres indiquent les sommes consacrées aux travaux de construction et d’entretien des hôtels et Forteresses en 1404-1405 :

  • Pierrefonds et La Ferté Milon : 24 700 l. t. ;
  • Baronnie de Coucy (y compris les réparations à Pinon, Marle, Saint-Gobain, le Chastellier, etc.) : 16 510 l. t. ;
  • Comtés de Valois et Beaumont ; en tout, 1 000 l. t. ;
  • Montargis et Courtenay : 1 000 l. t.

— Frontières du royaume.

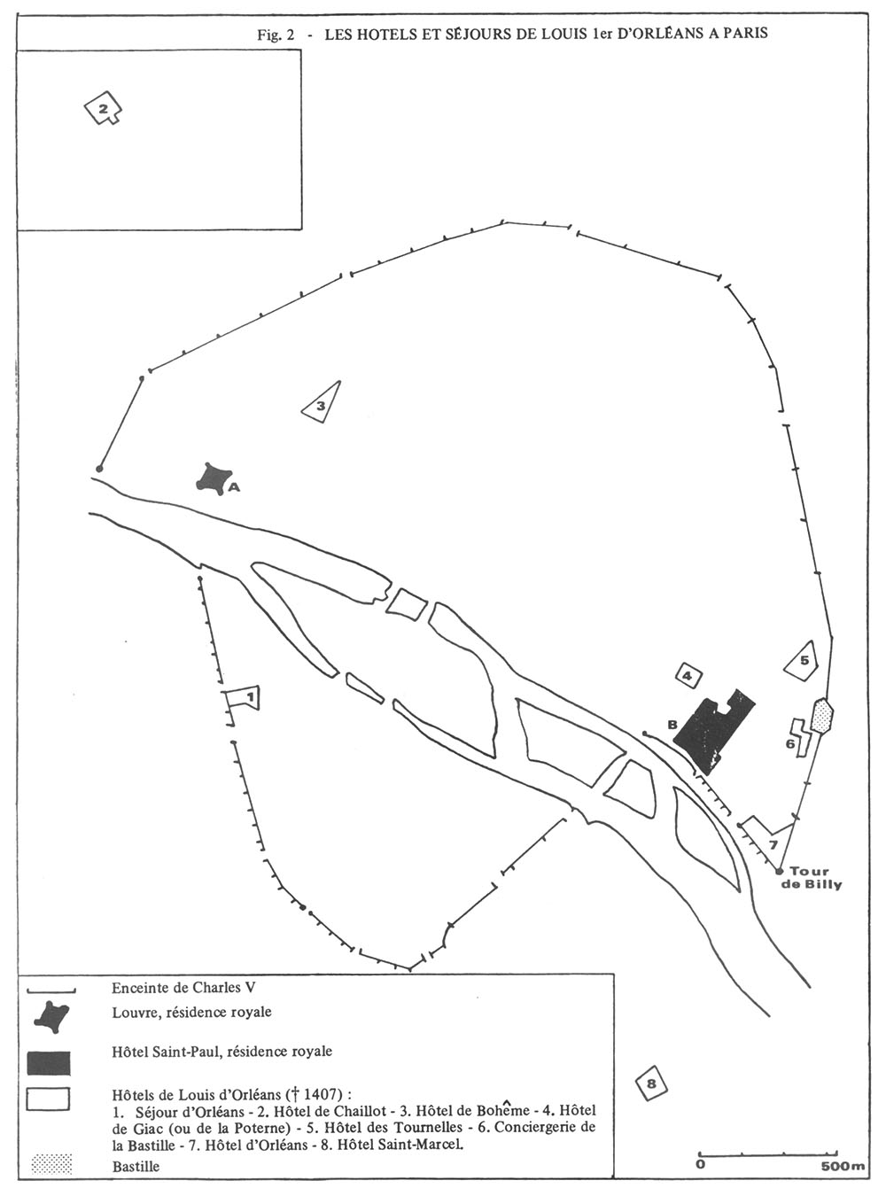
Les hôtels et séjours de Louis Ier d’Orléans à Paris (Claude Ribéra-Pervillé, Aspects du mécénat de Louis Ier d’Orléans, dans Jeanne d’Arc, une époque, un rayonnement, colloque d’histoire médiévale, Orléans, octobre 1979)
Fig. 2. Les hôtels et séjours de Louis Ier d’Orléans à Paris
Fig. 2 Les hôtels et séjours de Louis Ier d’Orléans à Paris.
Plan du château de Pierrefonds, d’après le plan dressé ej 1860 par E. Leblanc (Claude Ribéra-Pervillé, Aspects du mécénat de Louis Ier d’Orléans, dans Jeanne d’Arc, une époque, un rayonnement, colloque d’histoire médiévale, Orléans, octobre 1979)
Fig. 3. Plan du château de Pierrefonds
Fig 3. Plan du château de Pierrefonds

(D’après le plan dressé en 1860 par E. Leblanc, antérieurement à la restauration de Viollet-le-Duc. Cité dans Caillette de l’Hervilliers, Le dernier siège de Pierrefonds).

[Contenu non libre de droit.]
page served in 0.193s (1,3) /